$135,000 0 Sandy Point Road
Norris Arm, Newfoundland & Labrador
Details
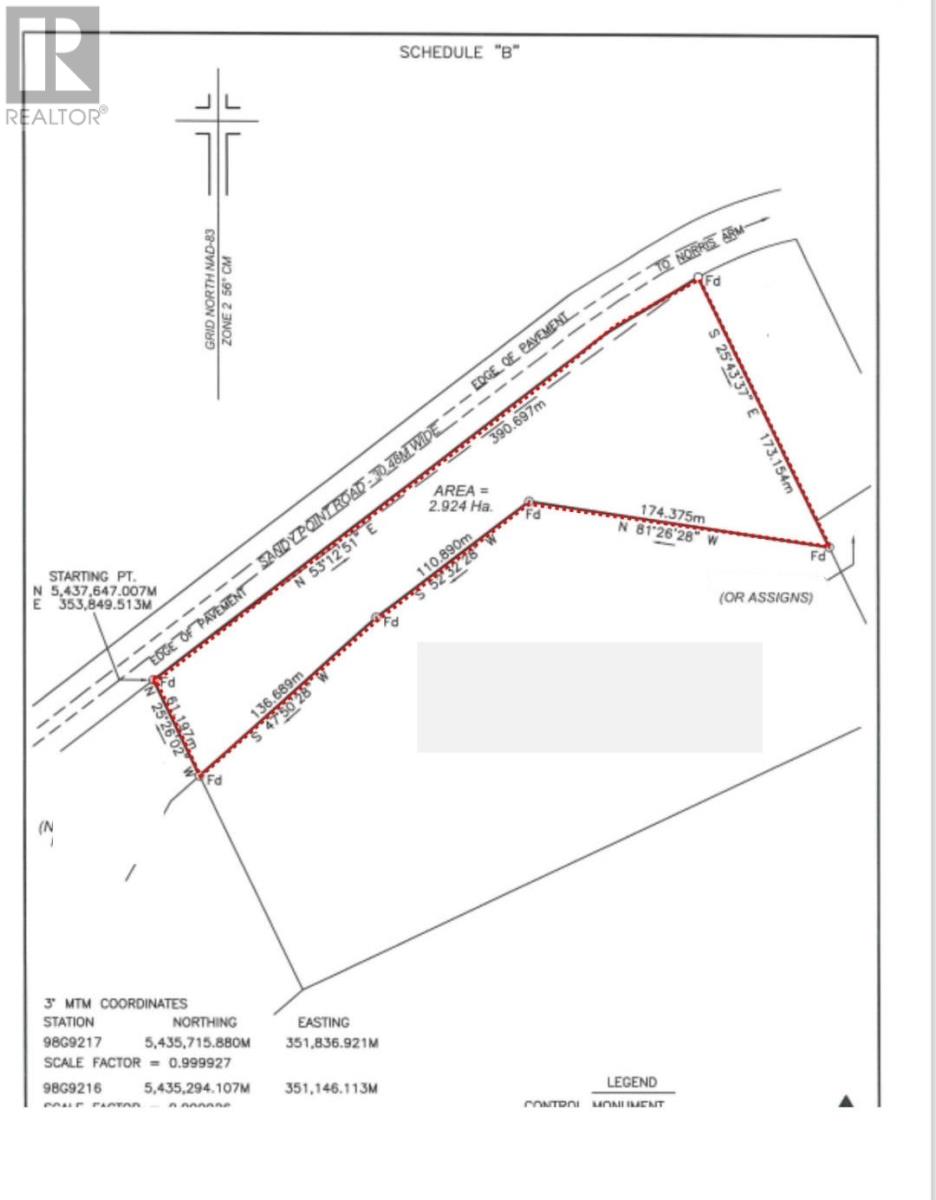
7.2 Acres located on Sandy Point Road, Norris Arm. This area is well known for year round living or recreational cottages. This acreage offers space, privacy, and partial views of the Exploits River which is well known for salmon fishing and boating. Portion of lot has been cleared with a driveway in place. The property sits just outside Norris Arm, providing a peaceful rural setting. With over seven acres available, this property provides plenty of room to build your dream home, cabin retreat, or recreational property. Easy access to Trans Canada Trailway at Rear which is great for the out door enthusiasts. Enjoy the natural beauty of the area, easy access to the river, and the quiet lifestyle that makes central Newfoundland such a great place to live. (id:2887)
Property Specifics:
- MLS® Number 1295026
- Price $135,000
- Location Norris Arm, Newfoundland & Labrador
- Building Type Vacant Land
- Sewer No sewage system
- Garage No
Listing Agent
This listing provided by:
Royal LePage Generation Realty
Phone:(709) 489-7000
Agent: Geoff Keough


MLS®, REALTOR®, and the associated logos are trademarks of The Canadian Real Estate Association

