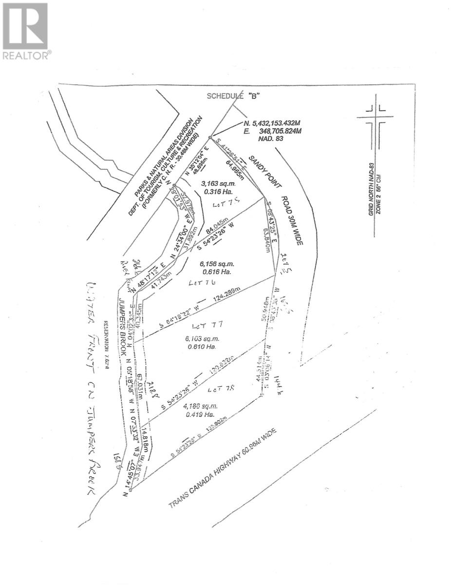
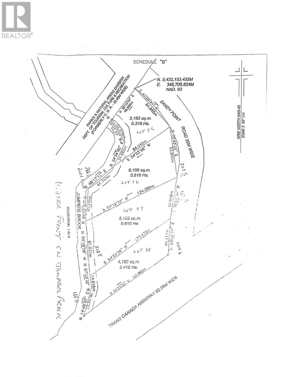
$26,000 Lot #66 Jumpers Brook Road
Norris Arm, Newfoundland & Labrador
Details
A rare find situated on Jumpers Brook Road feeding into the Exploits River One of the most scenic areas of the Province . Although not a waterfront property it is situated in a peaceful scenic setting in an area surrounded by some magnificent homes Inquire today for information package. HST is included in price (id:2887)
Property Specifics:
- MLS® Number 1284467
- Price $26,000
- Location Norris Arm, Newfoundland & Labrador
- Building Type Vacant Land
- Sewer No sewage system
- Garage No
Listing Agent
This listing provided by:
EXIT Realty Aspire
Phone:(709) 738-3948
Agent: Tony Howell


MLS®, REALTOR®, and the associated logos are trademarks of The Canadian Real Estate Association

